Vampir Kelebek Nedir?
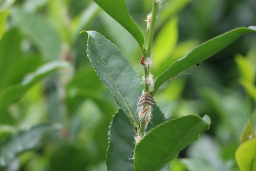
Ricania Simulans, halk arasında "vampir kelebek" olarak bilinen bir böcek türüdür. İlk olarak 2008 yılında Doğu Karadeniz Bölgesi'nde görülen bu tür, aslında Güneydoğu Asya kökenlidir. Adını, bitkilerin sap ve yapraklarındaki özsuyu emerek beslenmesinden alır. Yoğun popülasyonuyla bitkilerin gelişimini durdurup kurumasına yol açar. Temmuz ayında yumurtlayan ve Ağustos'ta kelebeğe dönüşen bu zararlı tür, tarım alanlarında büyük ekonomik kayıplara neden olabiliyor.

Doğu Karadeniz Bölgesi'nde tarım arazilerinde Ricania Simulans, son günlerde sıcaklıkların artması ile yeniden kendini göstermeye başladı.
Rize’de çiftçilerin kabusu haline gelen Ricania Simulans'ın yumurtlama dönemi olan Temmuz ayında, bıraktığı yumurtalar Ağustos ayında kelebeğe dönüşünce bitkilere ciddi anlamda zarar veriyor.

Rize’nin Çayeli ilçesinde yaşayan Adnan Cengiz isimli vatandaş vampir kelebeklerin çay başta olmak üzere tüm bitkilere zarar verdiğini söyledi. Cengiz "Karadeniz bölgesinde Rize Çayeli’nde bu kelebek haddinden fazla türedi. Sizin de gördüğünüz gibi salatalıkları, fasulyeleri ve meyveleri tamamen kuruttu. Tarım Bakanımız bunun için bilhassa bu kelebekler için şikâyetçiyiz. Gece evde oturamıyoruz, gece kapılara ve pençelere çıkamıyoruz. Her taraf kelebek dolu bundan biz rahatsızız ne olacak bilmiyoruz. Karadeniz bölgesini bu kelebekler tamamen sardı. Rahatsız oluyoruz hiç meyve ve çay kalmadı. Bas baya bizi rahatsız ediyor. Buna büyüklerimiz bir el atsa da bunlardan bizi kurtarsınlar" dedi.





